Wohnimmobilie > Grundstück (Wohnbebauung)
Zu Verkaufen

Traumhaftes und großes Baugrundstück am Waldrand in Nettetal-Breyell - Idyllisch am Bach gelegen!

41334 Nettetal
221.730 €

2880b
778 m²
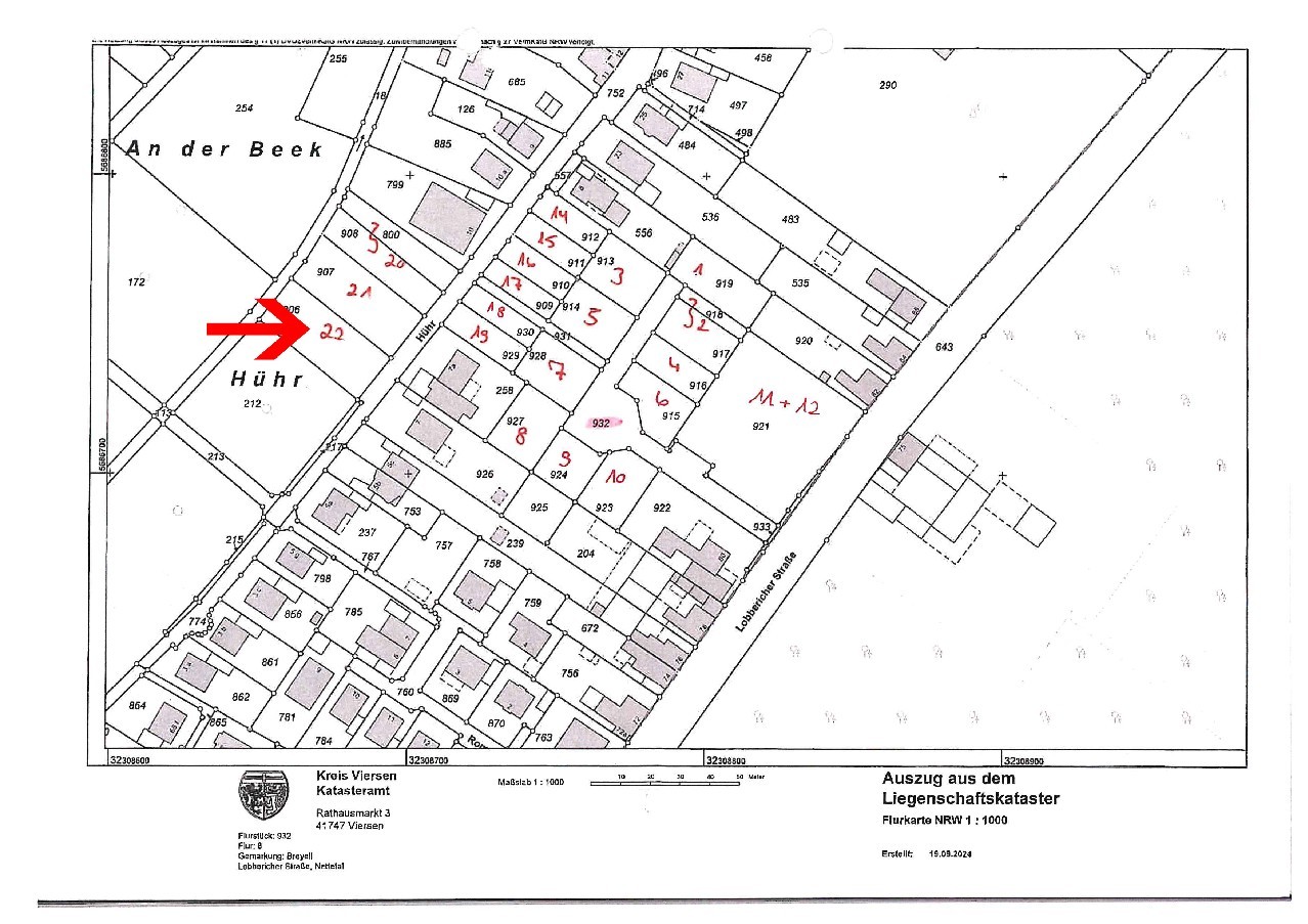
  • Nr. 22 = Flurstück mit ca. 778 m²

    Dieses Grundstück weist zur südlichen Seite einen fünf Meter breiten Schutzstreifen auf, welcher nicht bebaut werden darf. Folglich beträgt das Baufenster 10 m (F) x 15 m (T). Die Garage kann auf der nördlichen Seite im sog. „Bauwich“ errichtet werden. (Siehe Bebauungsplan)
    Kaufpreis: 285,00 EUR/m²

    Die Entwicklungsgesellschaft GEG (Verkäufer) hat mit der Stadt Nettetal einen städtebaulichen Vertrag, einschließlich Erschließungsvertrag geschlossen. Hiernach wird sich die Entwicklungsgesellschaft verbindlich zur vollständigen Erst-Erschließung des hier in Rede stehenden Baugebietes verpflichten. Der Entwicklungsvertrag liegt uns vor. Dem Käufer wird der gefertigte Erschließungsvertrag ausgehändigt, welcher auch Bestandteil eines Kaufvertrages ist.

    Ihr Bauantrag kann dann bei Abnahme der Baustraße (Stand = gesicherte Erschließung) bei der Stadt Nettetal gestellt werden und Ihr Hausbau anschließend beginnen.
  • Flächen

    • Grundstücksfläche: 778 m²
    • Stellplatzart: Garage, Freiplatz
    • Grundflächenzahl: 0.4

    Sonstiges

    Alle hier im Angebot genannten Angaben, Daten und Informationen beruhen auf Angaben des Entwicklers bzw. sind aus Objektinformationen entnommen. Für die Richtigkeit dieser Aussagen übernehmen wir keine Haftung. Irrtum, Auslassung sowie Zwischenverkauf bleiben vorbehalten. Wir weisen ausdrücklich darauf hin, dass wir keine Rechts- und Steuerberatung vornehmen dürfen und verweisen auf entsprechendes Fachpersonal der rechts- und steuerberatenden Berufe.
  • Bebauungsplan:
    Das Gebiet liegt im seit dem 05.01.2024 rechtskräftigen Bebauungsplan Br-292 Lobbericher Straße/Hühr. Dieser kann im Rathaus und online eingesehen werden bzw. liegt Ihnen bei uns zur Einsicht offen.

    Der Bebauungsplan sagt als wesentliche Information für die zum Verkauf stehenden Grundstücke aus:

    WA 1: allgemeines Wohngebiet, bis zu 2 Vollgeschosse, bis zu 2 Wohneinheiten je Gebäude, GRZ 0,4, Einzel- oder Doppelhaus, Sattel-, Flach-, Pult-, oder Zeltdach möglich. Wand- und Gebäudehöhe sind je nach Dachform festgelegt (z.B. maximale WH bei SD 4,50m über NHN).

    Während die Städte immer voller werden und die Grundstückspreise explodieren, gibt es hier im Baugebiet „Lobbericher Straße“ ausreichend Möglichkeiten sich den Freiraum zu schaffen, den man für sich und sein neues Lebensgefühl benötigt. – Das Budget ist hier mehr wert! – Ob Platz für den begehbaren Kleiderschrank, für den Pool im Garten, für das Spielzimmer der Kinder oder endlich Platz für das Klavier; hier können Sie nach Ihren Möglichkeiten kreativ werden!

    • Energieausweis-Jahrgang: nicht erforderlich
    • Energieausweis-Gebäudeart: nicht angegeben
  • Die Lage in Nettetal-Breyell zeichnet sich durch eine ruhige, ländliche Umgebung aus, die dennoch gut an städtische Infrastrukturen angebunden ist. Die Gemeinde bietet eine hohe Lebensqualität, die vor allem für Familien attraktiv ist. Die Einwohnerstruktur ist vielfältig, mit einem Mix aus jungen Familien, Berufstätigen und älteren Menschen, was zu einer harmonischen Nachbarschaft beiträgt.

    Die Verkehrsanbindung ist günstig, da die Region über gut ausgebaute Straßen und öffentliche Verkehrsmittel verfügt. Die Anbindung an die Autobahn ist in kurzer Zeit erreichbar, was Pendlern zugutekommt. Zudem gibt es regelmäßige Busverbindungen, die die umliegenden Städte und Gemeinden ansteuern, was die Mobilität der Bewohner erhöht.

    Für Familien bietet die Lage zahlreiche Vorteile. Es gibt verschiedene Bildungseinrichtungen, darunter Kindergärten und Schulen, die fußläufig oder mit dem Fahrrad erreichbar sind. Die Umgebung ist kinderfreundlich, mit Spielplätzen und Grünflächen, die zu Freizeitaktivitäten einladen.

    Das Freizeitangebot ist vielfältig und reicht von Sportvereinen bis hin zu Naturerlebnissen. Die Nähe zu Wäldern und Gewässern ermöglicht zahlreiche Outdoor-Aktivitäten, wie Wandern, Radfahren und Angeln. Die naturnahe Lage ist besonders bei diesem Grundstück hervorzuheben, da es sich um Waldrandlage handelt. Direkt hinter dem Grundstück befindet sich ein kleiner Bachlauf. Es ist also sichergestellt, dass die Sicht in die Natur in Zukunft nicht verbaut wird.

    Der Vorteil des eigenen Bauens in dieser Region liegt in der Möglichkeit, individuelle Wohnbedürfnisse zu realisieren und ein Eigenheim nach den eigenen Vorstellungen zu gestalten. Zudem kann die ruhige Lage und die naturnahe Umgebung zur Wertsteigerung der Immobilie beitragen.

    Insgesamt bietet die Lage in Nettetal-Breyell ein ausgewogenes Verhältnis zwischen Ruhe und Erreichbarkeit, was sie besonders für Familien und naturverbundene Menschen interessant macht.

    • Kaufpreis: 221.730 €
    • Käuferprovision: 3.57 %

Ihr Ansprechpartner

Viola A. Mertens, Dipl.-Betr.

Hans Kohnen GmbH (Impressum)
Wankumer Str. 4
41334 Nettetal
     
Sicher!